Terreno
Jardim Martinelli - Penedo/RJTerreno
Jardim Martinelli - Penedo/RJ


venda
R$330.000,00Terreno Frente
20 mÁrea Total
1.060 m²Situação
Pronto para construirCaracterísticas do Imóvel
Proximidades
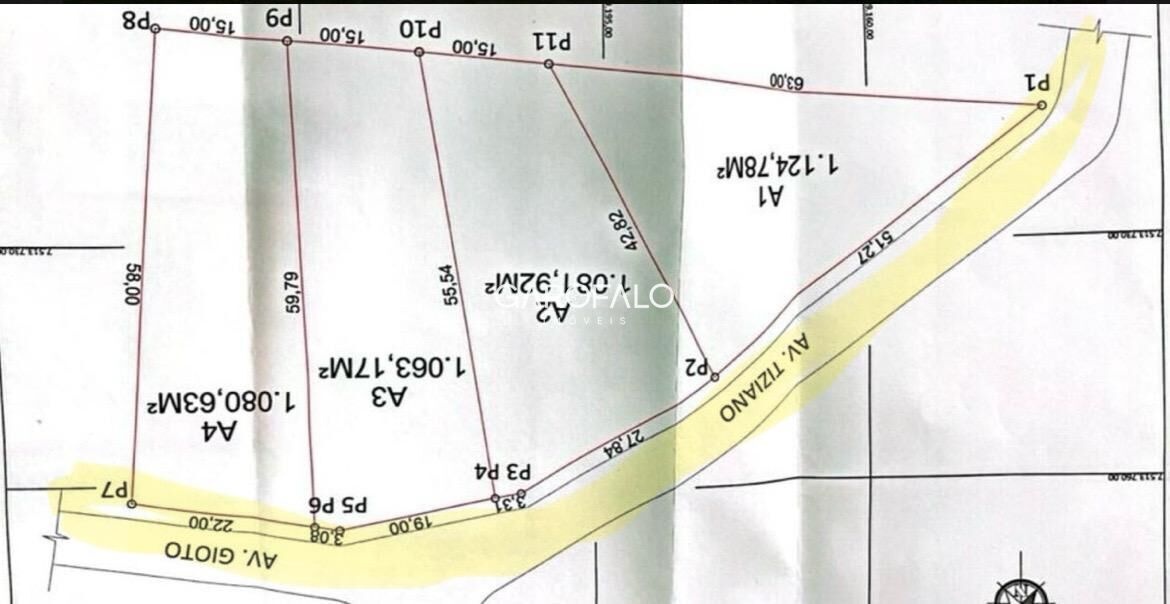
Descrição do imóvel
Excelente oportunidade de investimento ou até mesmo para uso residencial, uma vez que o terreno pelo Plano Diretor do município é de uso misto!!!
3 unidades de terrenos com um pouco mais de mil metros quadrados cada em uma das principais ruas do Jardim Martinelli em Penedo!!!!
OBS: CADA UM COM SEU DOCUMENTO INDIVIDUAL !!!!! Escritura + RGI
Cada um com seu valor individual:
Lote A2 - R$ 300.000,00
Lote A3 - R$ 330.000,00
Lote A4 - R$ 330.000,00
ÚNICO no bairro que pertence à ZR2 ( Zona Residencial 2)
O que limita-se mencionar a permissão de implantação de hotéis e pousadas de pequeno porte e apart hotel e condomínio.
Documentação totalmente regular!!!!!!
Agende já sua visita conosco.
As informações estão sujeitas a alterações. Consulte o corretor responsável.
